Se convierte Eta en huracán categoría 2
- Francisco Bautista Villegas
- Noviembre 02, 2020 - 10:45 a.m.
- NACIONAL

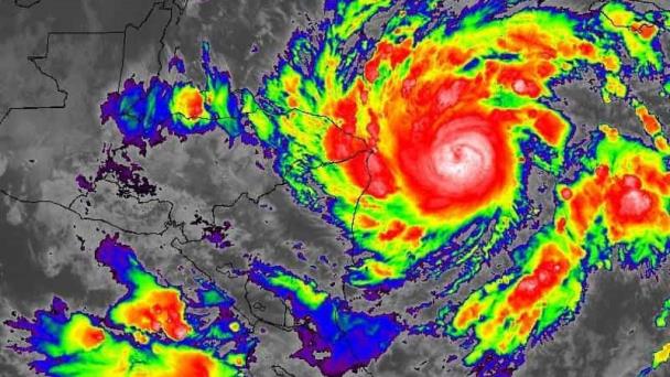
La tormenta tropical Eta alcanzó categoría de huracán categoría 2 hoy lunes, amenazando con fuertes lluvias, marejadas ciclónicas y aludes de tierra a Centroamérica.
La agencia de noticias AP reportó que el meteoro tenía vientos máximos sostenidos de 150 kilómetros por hora y se encontraba unos 225 km al este de la frontera entre Nicaragua y Honduras, según el Centro Nacional de Huracanes de Estados Unidos.
Se espera que toque tierra en Nicaragua entre la noche de hoy lunes y la madrugada de mañana martes.
De acuerdo a expertos, el centro y norte de Nicaragua y buena parte de Honduras podrían recibir entre 380 y 640 milímetros de lluvia, con hasta 890 mm en algunas zonas.
Se reporta que Eta es la vigésimo octava tormenta con nombre de la temporada activa de huracanes de 2020 y empata el récord de la cantidad de tormentas con nombre en una sola temporada establecida en 2005.
Short Link: https://is.gd/CbB4eB

Comentarios